Clima hoy | 25 marzo 2026; lluvias y calor marcan el panorama
Clima hoy | 25 marzo 2026; lluvias y calor marcan el panorama.
Recibe noticias al instante en WhatsApp
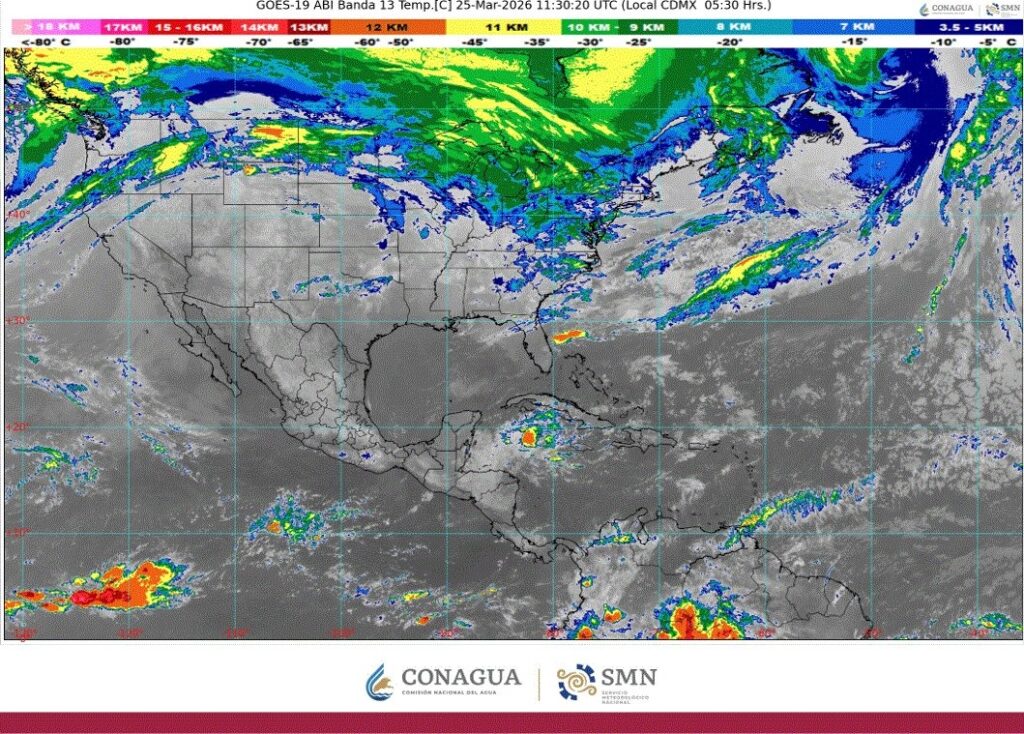
¿Dónde impactarán las lluvias hoy?
El Servicio Meteorológico Nacional informó que este miércoles se registrarán lluvias fuertes en Oaxaca y Chiapas, con acumulaciones de entre 25 y 50 milímetros. Además, se prevén chubascos en estados del occidente, centro y sureste, como Jalisco, Estado de México, Veracruz y Quintana Roo, mientras que en entidades como Ciudad de México y Morelos se esperan precipitaciones aisladas.
En este contexto, autoridades advirtieron que las lluvias más intensas podrían provocar deslaves, incremento en niveles de ríos y posibles inundaciones en zonas bajas. Por ello, recomendaron atender los avisos oficiales y seguir indicaciones de Protección Civil.
Al mismo tiempo, el pronóstico incluye actividad eléctrica y posible caída de granizo en algunas regiones, lo que incrementa el riesgo en zonas urbanas y carreteras. Este escenario responde a la interacción de canales de baja presión, una vaguada en altura y el ingreso de humedad desde el océano Pacífico, el Golfo de México y el mar Caribe.
¿Qué otras condiciones climáticas se prevén?
Por otra parte, el reporte señala la presencia de vientos fuertes en diversas regiones. En el istmo y golfo de Tehuantepec se esperan rachas de hasta 70 km/h, mientras que en estados del norte y centro, como Coahuila, Nuevo León y Jalisco, las rachas podrían alcanzar entre 40 y 60 km/h.
Estas condiciones podrían generar la caída de árboles, estructuras ligeras y anuncios, por lo que se pidió a la población tomar precauciones. Asimismo, se anticipa oleaje elevado de hasta tres metros en el golfo de Tehuantepec.
En contraste, el ambiente se mantendrá caluroso a muy caluroso en gran parte del país. Estados como Sonora podrían alcanzar temperaturas de hasta 45 grados, mientras que en regiones del norte, occidente y sur se prevén máximas de entre 35 y 40 grados.
Profundiza este contenido con: ¿Cuántos frentes fríos quedan para el 2026? Esta es la fecha confirmada del último
Contrastes térmicos en el país
Durante la mañana, zonas serranas de entidades como Chihuahua, Estado de México y Puebla registrarán temperaturas cercanas a los 0 grados, con posibles heladas. En consecuencia, autoridades sugirieron abrigarse y evitar cambios bruscos de temperatura, especialmente en grupos vulnerables.
Finalmente, el pronóstico advierte que un frente frío podría ingresar al norte del país en los próximos días, lo que modificaría las condiciones actuales.
Aquí va un video, no te lo pierdas:
🚀 Si buscas mantenerte al día con las noticias nacionales e internacionales más relevantes 🌐
